Maldives: Ready

Update from our Maldives coral reef and whale shark expedition

We’re here, we’ve set up and all is well. It’s a muggy 30 C and there is rain forecast tonight. This won’t change much over the week.

Here are a few names to remember: Most importantly there’s Dileepa (cook), Randika (waiter), Mox, Antoine, Lorae (dive guides), Lukas (deck hand), Jean-Luc (scientist), Matthias (expedition leader), as well as a few other crew who are here to make sure the expedition runs smoothly.

All it needs now is you, our citizen scientists. Safe travels and we’ll see you at 11:00 at the Coffee Club tomorrow. Be prepared for a mind dump, some hard studying and exams at teh end, before we let you lose on the data collection.

Continue reading “Maldives: Ready”

Maldives: Year 14

Update from our Maldives coral reef and whale shark expedition

Our 14th Maldives coral reef and whale shark expedition is about to start in a few days. I am Dr. Matthias Hammer, your expedition leader and founder & executive director of Biosphere Expeditions, and I look forward to meeting you all in Male’ soon.

Our expeditions scientists is Dr. Jean-Luc Solandt of the Blue Marine Foundation. Together we have run this expedition for longer than we both care to admit. In fact, we are practically married (and since we are both old, grumpy, single farts, who knows what bells will be tolling on board ;).

We’ll be 24 hours ahead of you to set up and get our beautiful liveaboard yacht and research base ready for you.

You can see our itinerary here and I hope you have all swotted up on the Reef Check methodology. The more effort you put in now, the easier it will be during the intense knowledge dump that will happen during the first couple of days. Don’t forget either that you must complete the online immigration form prior to departing for the Maldives.

Anyway, we’ll see you at the airport assembly point soon.

Matthias
Expedition leader

Continue reading “Maldives: Year 14”

Maldives: Addendum

Update from our Maldives coral reef and whale shark expedition

Here’s an e-mail by our scientist Jean-Luc to Reef Check Italy, who are working with us on a scientific paper. We thought you might like to see this as it contains a nice summary of what we found.

——————-

We visited North and South Ari reefs, last visited in 2018. I was so depressed by the inner reefs then that we moved operations in 2019 and 2022 (post Covid) to South Male’ and Vaavu atoll reefs, that appear healthier.

Conclusions from this year

Outer reefs of Ari haven’t changed much – just accumulated slightly more of the same coral cover since 2018 (Rasdhoo, Bathalaa and Dhigurah wall).

Inner reefs are showing three post-bleaching trajectories:

Trajectory 1

Acropora coral (previously dominant in Maldives reefs over geological time in shallow water environments) recolonise and dominate the shallowest reefs (to 5 m max), where bleaching had damaged them and where grazing is extensive (example site: Kuda falhu). We think (re)growth of any coral below 5 m is difficult in many central atoll reefs, because of extensive rubble fields of unconsolidated material drifting down the slope from previous bleaching, then storm events.

Trajectory 2

A shift to Porites rus (that can be branching and plating and massive in life-form) and Porites cylindrica and Pocillopora (probably P. verrucosa) in (mostly) shallow reefs. These three lifeforms are prevalent in Baros House reef (from a snorkel to the south of the resort), and from surveys in previous years in South Male’ inner reefs – at Beybe’s and Guraidhoo inner (see photos from previous reports of surveys in 2019 and 2022).

Trajectory 3

A phase shift in reefs from coral-dominated to Corallimorph-dominated (worrying). This is the case at Dega thilla. I have recorded in all my time in the Maldives two other reefs entirely dominated by this blanketing lifeform – one was Adhureys Rock way back in 2005. You have the data from that site I think. I think the other one was about 2011 or 2012 (from North Male’ I think – I’ll have to look these up).

So there is little variation in outer reefs, drops-offs, near channel reefs, but the above three trajectories in inner reefs does show this tremendous variation. I suppose there is another where things remain pretty much dead – with low coral cover, and not much else in terms of dominance. That would be expressed by Oshigali finolhu that we visited as our last site (an inner reef near to Dangheti Island, South Ari on the last day).

I hope these observations, and data are useful. As I said in the Wetransfer, we also have photo quadrats at all sites if your students want to analyse these in more detail.


Other achievements of the expedition include:

Since its inception in 2011, this expedition has thus far trained over 100 people in Reef Check surveying, including over 30 local Maldivians in techniques on how to monitor their reefs and set up community-based monitoring schemes. As a direct result of this, local NGO Reef Check Maldives was formed in 2017 and is now active in community-based reef conservation work and advocacy. Some of these community surveyors are now teaching Reef Check themselves, and are employed by government agencies and private consultancies to undertake management and surveillance. A colouring and educational booklet for local schools has also been produced and distributed around the country with the help of the local Ministry of Education. The expedition has also surveyed reefs that were impacted by the coral bleaching event of 1998, and identified recovery in most reefs prior to the 2016 bleaching event. Data on reefs and whale sharks are given to local and international NGOs, government and other decision-makers, who are planning on increasing the number and area of Maldives marine protected area (MPA)s. Our Reef Check data will form part of that picture when the government considers new MPA areas. Other achievements include: Post-bleaching assessment and scientific paper, assessment of fish populations inside and outside โ€˜MPAsโ€™, two masters theses with University of York, conference presentations (IMCC, Washington 2009 & ECRS, 2017), four resorts trained in Reef Check, one of which is now undertaking its own Reef Check and hosting coral rehab work, two dive centres (Vaavu atoll, Fulidhu and Baros) trained in Reef Check, award-winning Maldivian expedition placement (Shaha Hashim) now employed by Blue Marine Foundation grouper project at Addhu atoll, national Reef Check Coordinator (Hassan Baybe) at โ€˜Save the Beachโ€™, Vilingili.

Continue reading “Maldives: Addendum”

Maldives: Done

Update from our Maldives coral reef and whale shark expedition

We’re done. Another batch of EcoDivers trained, another year of surveys done, another bunch of people looking at reefs with different eyes.

Jean-Luc presented us with some prelim results and thoughts towards the end, the full scientific report will come out in 10 months or so, publications with our now impressive dataset spanning over a decade are in the works.

It’s been a mixed bag of hope and despair, of reality checks, the best and worst of humankind, camaraderie, focus and getting a job done. Thank you to Dune Maldives and the crew of the Theia who looked after us so well allowing us to concentrate on diving for science. Thank you, team, for your efforts and kind words, on record below and on the boat in private. Without you, this expedition would not happen, the data would not be collected and no reports would get written. So stay in touch, come back and we’ll you somewhere, someday on this beautiful, beleaguered planet of ours.

Continue reading “Maldives: Done”

Maldives: Hope?

Update from our Maldives coral reef and whale shark expedition

We came here feeling pessimistic. Reefs are battered from all sides – warming oceans, bleaching, acidification, overfishing, exploitation, you name it, we humans inflict it on reefs and the natural world. Indeed some say that this current decade is the last to prevent the total collapse of reefs worldwide.

So we did not expect to find signs of hope, but we have. A dim light at the end of the tunnel, a flicker of hope, however faint. It’s no reason to celebrate, but it shows why citizen science is so important. Without the citizen scientists on this expedition, this message, which we will write up in a scientific report, would not exist or be heard. So thank you to all those on board for enabling this with their efforts and funds.

And here’s the story:

We have found some cause for hope for previously badly affected sites, mainly from the last 2016 mass bleaching event. Sites that are grazed by herbivorous fish and have not been colonised by corallimorphs have partially recovered since 2016. True, the recovery is slow (cue the problems from paragraph 1), but there is some recovery. Baby corals are taking a foothold, surviving on the skeletal corpses of once great boulder corals, finding a space for new life in between dead coral branches, clinging on and growing. But those reefs that have been colonised by corralimorphs are getting worse. They are or have phase shifted from coral to corralimorph reefs, blanketed by nothing but these fleshy creatures, which nothing eats and which take over everything. Once the brown carpet has taken over, nothing is left – no fish, no invertebrates, no corals. This has happened in other parts of the world, for example in Bermuda, where few coral reefs are left.

But we are not there yet in the Maldives and we hope our work makes a small contribution to never getting there.

Continue reading “Maldives: Hope?”

Maldives: Checking the reefs

Update from our Maldives coral reef and whale shark expedition

Two days later and we have a boat load full of qualified Reef Check EcoDivers. Congratulations to everyone for passing the written and in-water exams and rising to the challenge.

Even our test survey dive yesterday was good enough to keep the data. Our scientist Jean-Luc was predictably pleased. A small miracle, as he is otherwise quite cantankerous :))

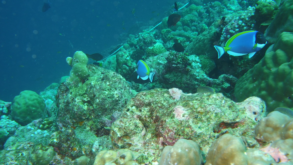
Today started with an early morning lazy dive at a well-known dive spot at Rasdhoo atoll. We saw lots of our indicator fish (grouper, snapper, butterflyfish, sweetlips, parrotfish, etc.), a graceful small school of eagle ray and a handful of sharks cruising a steep reef drop-off going deep down into the blue where us mere mortals with our heavy, noisy and clunky gear to survive in the water cannot go. Jacks cruised the blue too, slow and lazily, like a sheathed arrow, ready to dart at a moment’s notice when prey is near. Above us, unicornfishes amused themselves in our bubbles, below longnose butterflyfish picked away at corals in the reef garden. Resplendent anthias floated between the corals and did their name proud. Parrotfish munched and grated against the corals, their excrement the creator of those white sandy beaches that we associate with the dreamland we call the Maldives. A goatfish barbled its way along the sandy bottom in search of food. A Napoleon wrasse floated by in between us, curious as they are, but, alas, quite small (about our size) as their docile and inquisitive nature is their undoing in the face of the destroyer.

And because we destroy, our job is to research and protect where we can. What was it like 50 years ago, when the Maldives where in a pre-tourism slumber? How many hundreds of snapper would we have seen today, how how many sharks would have policed the blue, how big would that school of eagle rays have been? A whole university perhaps? It’s hard to know and hidden by shifting baselines. We know we are part of the problem and this is why collecting reliable data over many years, in our case over a decade now, is so important. But are we just documenting the inevitable decline? It’s hard to know. The first few days tell us that at least it does not seem to have become worse. But that is only a snapshot impression, an educated guess based on a few observations. That’s another reason why recording things in details is so important and why lazy dives such as this one are rare. Why waste your time being tourists when you can be citizen scientists instead?

So out we are again this morning, checking the reefs we all love.

Continue reading “Maldives: Checking the reefs”

Maldives: A dozen years, done

Update from our Maldives coral reef and whale shark expedition

We have just finished our twelfth (!) year of Reef Check surveying in the Maldives and who better to talk about the results of this coral reef expedition than our scientist Dr. Jean-Luc Solandt:

Dr. Jean-Luc Solandt summarising the expedition’s results

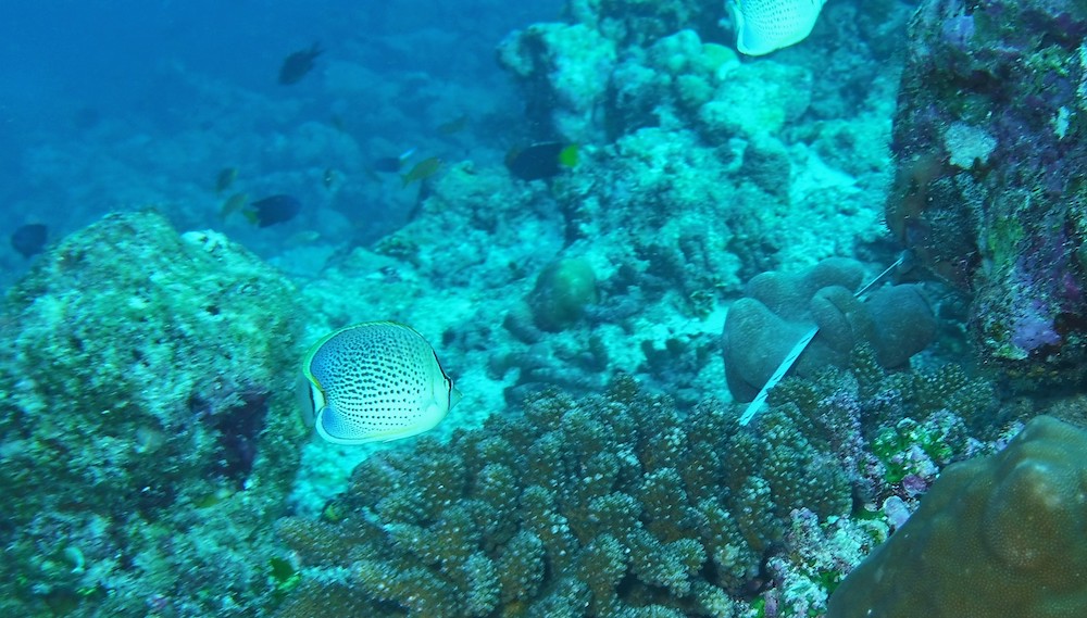
Over the last week we surveyed eight sites, collected hundreds of data points, saw good reefs and bad, big things such as sharks and manta rays (but sadly no whale sharks), but more importantly little things such as butterflyfish, snapper, coral banded shrimp, diadema urchins, hard and soft coral, rubble, rock and nutrient indicator algae. Our newly qualified EcoDivers now know and appreciate the significance of these indicators and their dedication and attention to detail is what makes this expedition work.

Dr. Solandt will now write up our findings into a report, to be published within a few months and given to government and decision-makers in the Maldives. Our placements Shuga, Bas & Hampti will continue surveys whilst we are away, keeping the Reef Check fire burning until we return in a year’s time. A twelve year dataset is an impressive achievement in any kind of scientific study and it is the time and money that our citizen scientists put in that makes this possible. So thank you again Paula, Steve, Olivier, Peter, Rick, Mark, Shuga, Bas, Toshia, Ann, Tine and Hampti and all those that came before you, and happy birthday Mark on top. What a great excuse to have a farewell and birthday party put together.

Expedition team 2022

What a great expedition. I hope to see most of you again on expedition some day on this beautiful and fragile planet of ours!

Dr. Matthias Hammer
Expedition leader

Thank you to Jean-Luc Solandt for all the pictures in this year’s Maldives expedition blog

Continue reading “Maldives: A dozen years, done”

Maldives: Giving, not taking

Update from our Maldives coral reef and whale shark expedition

We are half way through our annual coral reef and whale shark expedition here in the Maldives. Training in Reef Check was the usual mad dash. Everyone got there in the end. Congratulations to all new Reef Check EcoDivers!

Today is our first day of surveys only. Like a fairly well-oiled machine we descend onto the reef, lay the line of science, then count fish, invertebrates and impacts as well as substrate along it. The numbers and codes we glean from two depths tell us tales of reefs hanging on, despite multiple stresses: oceans that are getting warmer and more acidic due to climate change, land reclaims through artificial sandbanks whose grains in the current smother the corals, building works on many islands and increased tourist activity as if continued growth on a finite planet and building bridges between islands was the answer. It is not. The former is a mathematical impossibility and the latter a short-sighted pipe dream.

So we do what we can. There are 250 liveaboards in the Maldives taking tourist divers around all year. We are one liveaboard of 14 scientists and citizen scientists doing surveys for a week. We are the only ones. You can do the maths yourself.

We may be one in several thousands and a quiet voice in the chatter of growth and development, but it is a beautiful experience nonetheless. A holiday with a purpose with Reef Check as our zen companion. Reef Check teaches you to look at a reef in a totally new way, to appreciate the little things and not obsess about the megafauna. We enjoy coral banded shrimp, the skill to be able to tell a soft coral from a hard coral from rock or rubble. We delight in watching grouper behaviour, small as they may be, or spotting snapper that have not been overfished. Sure, there are lobsters, humphead wrasse, turtles and sharks too. But this is not what it’s about. Instead it is about doing our bit for the reef, giving up our time and money in the process. It’s about hard work, not pleasure diving to satisfy your very own self-centred needs. It’s about giving, not taking. And this really is what the planet needs now.

Thank you Jean-Luc, Paula, Steve, Olivier, Peter, Rick, Mark, Shuga, Bas, Toshia, Ann, Tine and Hampti for giving.

Continue reading “Maldives: Giving, not taking”

Maldives: A reef bouncing back

Update from our Maldives coral reef and whale shark expedition

The Baros staff passed their EcoDiver tests with flying colours, congratulations. Amongst them is Shuga, a local marine biologist, who will join us on the boat and who will be a great asset to the team.

As the culmination of our two days of diving, we conducted a first survey of the Baros house reef. And what better place to record the data and celebrate certification than the beaches and the bar of this beautiful little island. The data confirmed my initial impression of a reef in recovery mode: good hard coral cover (38%), decent fish populations (with parrotfish and butterlyfish dominating, and groupers, sweetlips and snappers present), and very little coral damage such as bleaching or evidence of anchoring or pollution.I hope this is a good omen for the rest of our surveys. See you later today to find out.

Newly qualified (from right): Shuga, Ali and Ambra
Data entry
Baros house reef from above
Data entry

Continue reading “Maldives: A reef bouncing back”

Maldives: Flying and reefs

Update from our Maldives coral reef and whale shark expedition

It feels strange and somehow wrong to be sitting on a long-haul flight again. Strange because it’s been a good while, thanks to the pandemic, and wrong because so much has happened since then in terms of the planet sending very clear signals that we are doing a great job in cutting off the branch that human civilisation sits on. So we at Biosphere Expeditions have decided we will only fly if absolutely necessary. If we can’t avoid flying (such as to the Maldives), we now try to pack as many jobs as possible into a flight. So I am here on the non-too-shabby resort of Baros, not far from Male’, to train their dive centre staff and the resident marine biologist in Reef Check so that they can conduct surveys themselves and eventually also train other Maldivians (and on the way back, I will stop off in Dubai to work on our forthcoming Arabia expedition).

Baros

Shuga, the Maldivian marine biologist I am training here, will also join us on the expedition, alongside two other Maldivians, as part of our placement programme.

Anyway, I am Dr. Matthias Hammer, founder and executive director of Biosphere Expeditions and I will be your expedition leader for this Maldives coral reef and whale shark expedition, next to our esteemed expedition scientist Dr. Jean-Luc Solandt. We’re both old and frustrated codger-biologists, so you have been warned! ๐Ÿ˜‰

I arrived to grey, stormy weather and rain. Jean-Luc’s codger message to me on take-off was “enjoy the rain, old man”. I wasn’t surprised.

But underwater made up for it. The Baros house reef was in a bad state three years ago, but it has bounced back somewhat. There is quite a bit of coral regrowth and within two 40-minute dives, I saw all fish indicator species (grouper, sweetlips, butterflyfish, snapper and more), three shark species, a turtle and all substrate types (hard coral, soft coral, rock, sand, rubble etc.). Not expecting much, it was a pleasant surprise to see the reef not dead, but fighting back. I wonder whether this is a good omen for the forthcoming expedition? It will certainly be interesting to see what state the reefs are in. Don’t get your hopes up high, though. We may just be documenting humankind’s cancerous effect on this part of our planet too. We will see. Jean-Luc will be telling us, without mincing his words, what it all means and I can guarantee you that he will open your eyes to reefs and help you see them like you’ve never seen them before, no matter what state they will be in.

The itinerary he has set for the expedition is below and a visualisation of the places we will survey and visit is here.

Survey schedule

I will write again in the next couple of days. In the meantime, happy packing and travels. I hope you have swotted up on Reef Check. The more you can do now, the easier the whirlwind of the first two training days will be, trust me.

Continue reading “Maldives: Flying and reefs”